Description
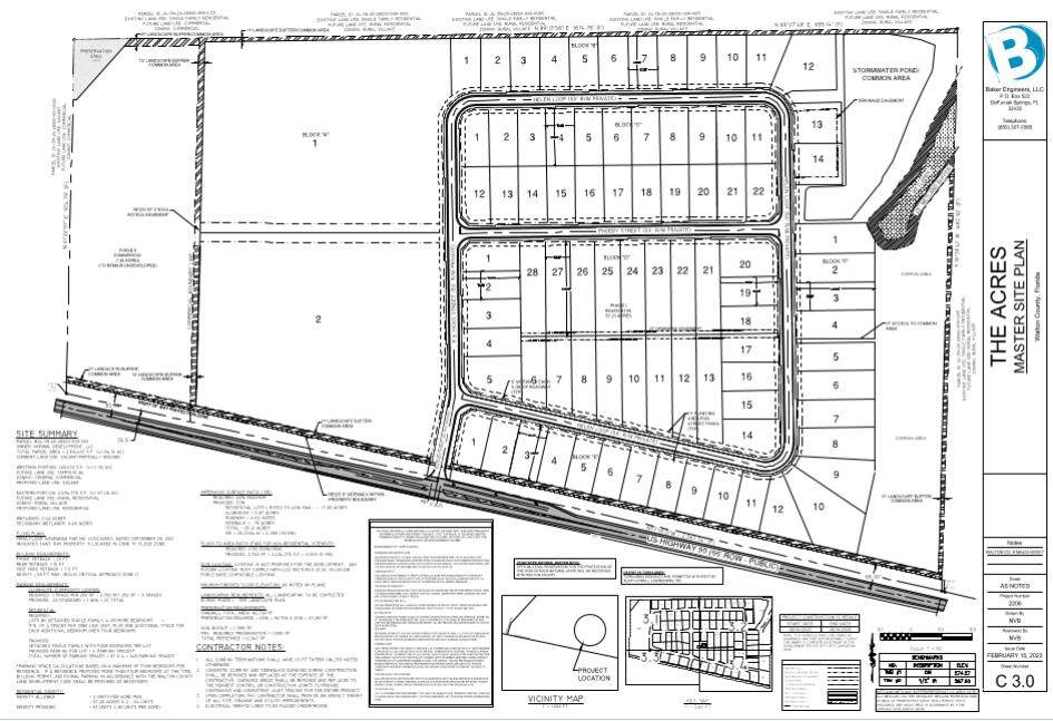
DEVELOPMENT ORDER IN HAND. This is an opportunity to purchase 87 finished lots / pad ready. There are other options to purchase all 87 lots as paper lots MLS 984870. There are 2 other options to purchase finished lots: 1 to 9 lots @ $72,500 per lot or in increments of 10 at $68K per lot. The proposed new development is 5 minutes west of DeFuniak Springs on Hwy 90, consisting of 87 detached single family residential homes on approx 59.73 acres. Septic will be used / permitted for each lot. Public water. The development will have 2 driveway connections to Hwy 90. Zoned Rural Village, Flood Zone X. According to wetland study on the total 64.61 acres (study done before commercial property split), .35 acres is wetland, located on the eastern boundary of the lot.
-
0BEDS
-
59.73ACRES
-
0BATHS
-
01/2 BATHS
School Information
Description
DEVELOPMENT ORDER IN HAND. This is an opportunity to purchase 87 finished lots / pad ready. There are other options to purchase all 87 lots as paper lots MLS 984870. There are 2 other options to purchase finished lots: 1 to 9 lots @ $72,500 per lot or in increments of 10 at $68K per lot. The proposed new development is 5 minutes west of DeFuniak Springs on Hwy 90, consisting of 87 detached single family residential homes on approx 59.73 acres. Septic will be used / permitted for each lot. Public water. The development will have 2 driveway connections to Hwy 90. Zoned Rural Village, Flood Zone X. According to wetland study on the total 64.61 acres (study done before commercial property split), .35 acres is wetland, located on the eastern boundary of the lot.
© 2026 Emerald Coast Association of Realtors MLS. All rights reserved. IDX information is provided exclusively for consumers' personal, non-commercial use and may not be used for any purpose other than to identify prospective properties consumers may be interested in purchasing. Information is deemed reliable but is not guaranteed accurate by the MLS or The Premier Property Group. Vendor Member number: 28178. Data last updated: 2026-02-18T00:00:25.767.
Vendor Member #28178.
